Používame cookies

Súbory cookie a ďalšie technológie sledovania používame na zlepšenie vášho zážitku z prehliadania našich webových stránok, na to, aby sme vám zobrazovali prispôsobený obsah a cielené reklamy, na analýzu návštevnosti našich webových stránok a na pochopenie toho, odkiaľ naši návštevníci prichádzajú. Viac info

 

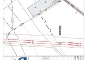
Investičný pozemok, Malženice, okres Trnava

Ulica: Malženická cesta
Obec: Trnava
Okres: Trnava
Kraj: Trnavský kraj
Druh: Pozemky
Typ: Predaj
Typ pozemku: Pozemky - komerčné
36 €/m2

Popis nehnuteľnosti

Ponúkame na predaj veľký investičný pozemok o výmere 28 249 m², nachádzajúci sa v obci Malženice, okres Trnava. Pozemok je vedený ako zastavaná plocha a nádvorie a je situovaný mimo zastavaného územia obce, v chránenej vtáčej oblasti.

Základné informácie:
Parcelné číslo: 1304/1
Výmera: 28 249 m²
Druh pozemku: Zastavaná plocha a nádvorie
Spôsob využívania: Pozemok, na ktorom je dvor
Územný plán: Výrobný, skladový a technický areál

Územnoplánovacie podmienky:
Pozemok je vhodný pre výrobné a skladové areály, technoparky, administratívne objekty alebo obchodné a servisné zariadenia.
Možnosť realizácie novej obecnej kompostárne alebo technickej infraštruktúry (areál ČOV).
Povolené sú aj odstavné parkovacie miesta.
Podmienka minimalizácie negatívnych vplyvov na životné prostredie (napr. výsadba drevín po obvode).
Neprípustné funkcie: bývanie, stravovanie, šport, rekreácia, občianska vybavenosť.

Výhody:
Výborná investičná príležitosť v strategickej lokalite v blízkosti Trnavy.
Prístupová komunikácia a dostupnosť infraštruktúry.
Pozemok vhodný pre developerské projekty v oblasti výroby, skladovania alebo technickej infraštruktúry.

Pre viac informácií a obhliadky nás neváhajte kontaktovať!

Vlastnosti

Status:
aktívne
Plocha pozemku:
28247 m2
El. napätie:
nie
Voda:
nie
Kanalizácia:
nie
Status:
aktívne
Plocha pozemku:
28247 m2
El. napätie:
nie
Voda:
nie
Kanalizácia:
nie

Pozrieť na mape

Maklér

Kontaktný formulár

Podobné nehnuteľnosti